【売土地】神戸市東灘区鴨子ヶ原3丁目
■JR神戸線『住吉』駅からバス18分・『渦森台2丁目』バス停下車徒歩4分
■阪急神戸線『御影』駅からバス11分・『鴨子ヶ原2丁目』バス停下車徒歩2分
■閑静な住宅街で、公園が多く緑が豊富
■神戸三宮まで約9分とアクセス良好!
| 沿線・駅
所在地 |
|---|
|
阪急神戸線『御影』駅からバス11分・『鴨子ヶ原2丁目』バス停下車徒歩2分 兵庫県神戸市東灘区鴨子ヶ原3丁目 |
| 価格 |
|---|
| ---万円 |
| 間取り
専有面積 |
|---|
|
--- ---㎡ |
| 物件種目 | 売土地 | 物件名 | 【売土地】神戸市東灘区鴨子ヶ原3丁目 |
|---|---|---|---|
| 建物構造 | 階建・階 | 階 | |
| 築年数 | 駐車場 | ||
| バルコニー | バルコニー面積 | ㎡ | |
| 設備 | |||
| 総戸数 | 1戸 | 販売戸数 | 1戸 |
| 地域・地区 | 市街化区域・第一種高度地区・風致地区・第一種文教地区 | 地目 | 宅地 |
| 建ペイ率 | 40% | 容積率 | 150% |
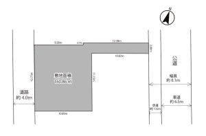
| 敷地面積 | 160.86㎡ | 建築面積 | ㎡ |
| 建築延床面積 | ㎡ | 私道負担 | なし |
| 管理費 | 円 | 修繕積立金 | 円 |
| 管理形態 | 管理会社 | ||
| 現況 | 更地 | 引渡し | 相談 |
| 取引態様 | 売主 | 情報更新日 | 2024/07/29 |









